
news News




hurricane melissa
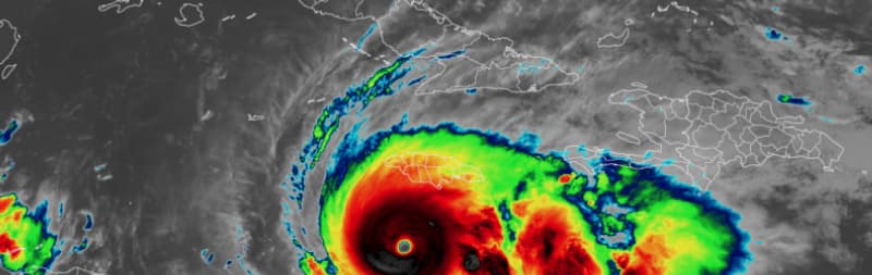
Hurricane Melissa Causes Havoc in Jamaica






jamaica
Quickly Navigate to Content









sanae takaichi
Jump Straight to Content














gaza peace summit
Keir Starmer in Egypt for Gaza peace summit



middle east
Jump Straight to Content



israel and egypt
Trump travels to Israel to secure end of Gaza ceasefire crisis







melania trump
Melania Trump discusses Ukraine kids with Putin


#nobelpeaceprize
Nobel Peace Prize Linked to Insider Trading on Polymarket

